0 Ashley Phosphate Road | North Charleston | $950,000
0 Ashley Phosphate Road Photo 1
0 Ashley Phosphate Road Photo 2
SHOW DETAILS
0 Ashley Phosphate Road North Charleston, SC 29420 $950,000
15,000 SQ. FT.

0 Ashley Phosphate RoadNorth Charleston, SC 29420

For SALE Business ACTIVE
$950,000
EST. 2,391.37/MO CALCULATE
15,000 SQ. FT.

Property Description

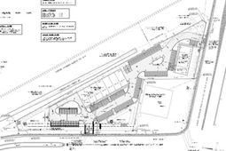
+/- 2.245 acre site zoned M-1 Light Industrial in the City of North Charleston, in Ladson Overlay District. At the lighted intersection of Ashley Phosphate Rd and Palmetto Commerce Pkwy (site does not include 2992 Ashley Phosphate). Property is almost fully entitled, with only a few items outstanding depending on purchaser's final/intended use. Currently proposed on the site is 15,000 SF of retail/flex space in two buildings with ample parking and curb cuts on Ashley Phosphate Rd and Palmetto Commerce Pkwy. The site sits just over half a mile to I-26 via exit 209. Palmetto Commerce Parkway Phase 3 (PCP3) is currently underway, and will provide the last segment in a new connector parkway from Ladson Road to Aviation Avenue near I-26 and Joint Base Charleston, with estimated completion in 2028, as well as a new interchange coming to Weber Blvd/Palmetto Commerce Parkway with anticipated completion in 2026. Engineering plans, along with permits and other due diligence materials available upon request. As of the publishing of this listing, below is the current STATUS of ENTITLEMENTS:CWS is awaiting the DRP submittal to review before SCDHEC can review for the permit to construct the water main. Planning is waiting on CWS approval and Tree mitigation payment. Public works awaiting CWS and Planning approval. SCDOT Final approval awaiting SCDHEC approval, awaiting Planning/public works approvals. Most items are at the finish line and owner has held off submitting the DRP package to CWS and tree mitigation to planning

Property Details

  • MLS ID31004524
  • Property TypeCommercial - Industrial
  • Current UseAutomotive, Business, Commercial, Distribution, Flex Space, Industrial, Investment, Mini-Storage, Self Storage, Showroom, Unimproved, Warehouse
  • Days on Site287
  • Lot Size2.24 Acres
  • Parcel Number395-16-00-001
  • SewerPublic Sewer
  • WaterPublic
  • ZoningCity of North Charleston - M-1 - Light Industrial District
  • acres2.24

Listed By / Shown By

Listed By

Agency Name: RE/MAX Southern Shores

SCCMLS

Shown By

Agency Title: Home Advantage Realty
Agency Phone: (843) 203-5016

SCCMLS

IDX logo

0 Ashley Phosphate Road photo 4

Web address QR Codes

0 Ashley Phosphate Road

©OneHomeValue

Location 0 Ashley Phosphate Road

Neighborhood Map

Local Content

Neighborhood Hero

Ask A Question 0 Ashley Phosphate Road, North Charleston, SC 29420

IDX logo

Disclaimer: All information deemed reliable but not guaranteed. All properties are subject to prior sale, change or withdrawal. Neither listing broker(s) or information provider(s) shall be responsible for any typographical errors, misinformation, misprints and shall be held totally harmless. Listing(s) information is provided for consumers personal, non-commercial use and may not be used for any purpose other than to identify prospective properties consumers may be interested in purchasing. Information on this site was last updated 04/21/2026. The listing information on this page last changed on 04/21/2026. The data relating to real estate for sale on this website comes in part from the Internet Data Exchange program of Delta Media Group MLS (last updated Tue 04/21/2026 12:14:22 AM EST) or Pee Dee MLS (last updated Mon 04/20/2026 10:44:34 PM EST) or CCAR MLS (last updated Mon 04/20/2026 11:26:53 PM EST) or Columbia SC MLS (last updated Tue 04/21/2026 12:07:44 AM EST) or Charleston Trident MLS (last updated Mon 04/20/2026 11:32:19 PM EST) or SCCMLS (last updated Mon 04/20/2026 11:16:18 PM EST). Real estate listings held by brokerage firms other than Home Advantage Realty may be marked with the Internet Data Exchange logo and detailed information about those properties will include the name of the listing broker(s) when required by the MLS. All rights reserved.
Privacy Policy / DMCA Notice / ADA Accessibility

Login to Personal Shopper

Pixel